Land For Sale
Basic
Details
Property Type:
Land
Listing Type:
For Sale
Listing ID:
CV25103922
Price:
$699,889
View:
Mountain(s)
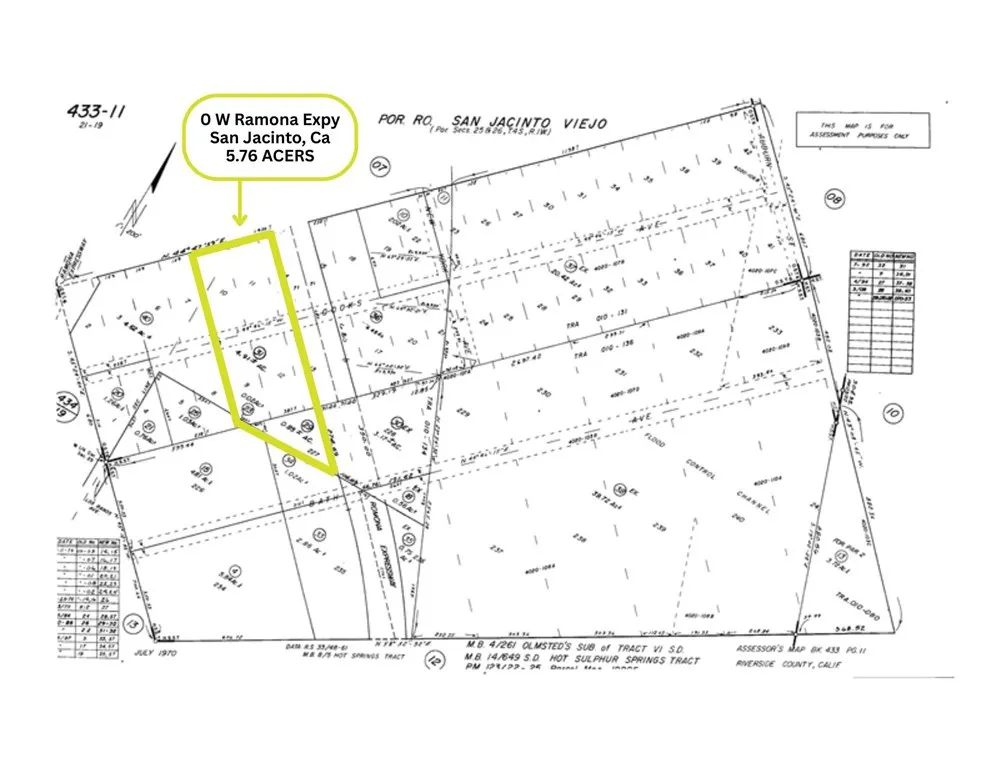
Lot Area:
4.91 Acre
Features
Fence
None,
Address
Map
Country:
US
State:
CA
County:
Riverside
City:
San Jacinto
Zipcode:
92583
Street:
Ramona Expreeway
Directions:
ON RAMONA EXPRESWAY EAST OF ALESSANDRO AVE
Mls Area Major:
699 - Not Defined
Zoning:
MU-E
Agent
Info
Ray Millman
310-375-1069
ray@millmanteam.com
ray@millmanteam.com