
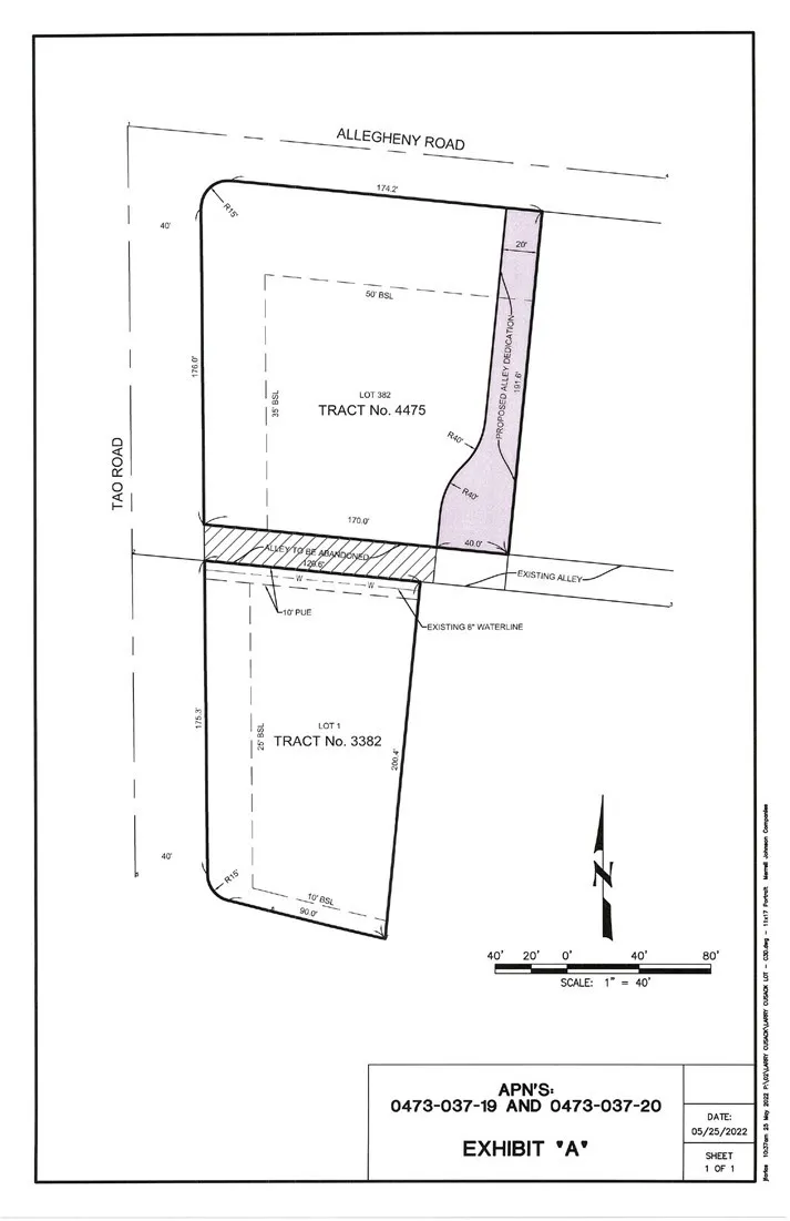
LARGE COMMERCIAL CORNER TOTALING OVER 48,000 SQUARE FEET! Located in the heart of Apple Valley and consists of 2 parcels both being sold together, and BOTH INCLUDED! This great commercial opportunity is in the desired Desert Knolls section of Apple Valley with great visibility from highly traveled U.S. Highway 18, the “Happy Trails Highway”. Other successful businesses and buildings in this area which is one of the last remaining signalized commercial corners in Apple Valley. Seller is motivated and will look at all offer scenarios and has already been in discussion with the Town of Apple Valley regarding a merge of the 2 parcels which would create a potential commercial project of OVER AN ACRE! OPPORTUNITY KNOCKS!

ray@millmanteam.com
ray@millmanteam.com