
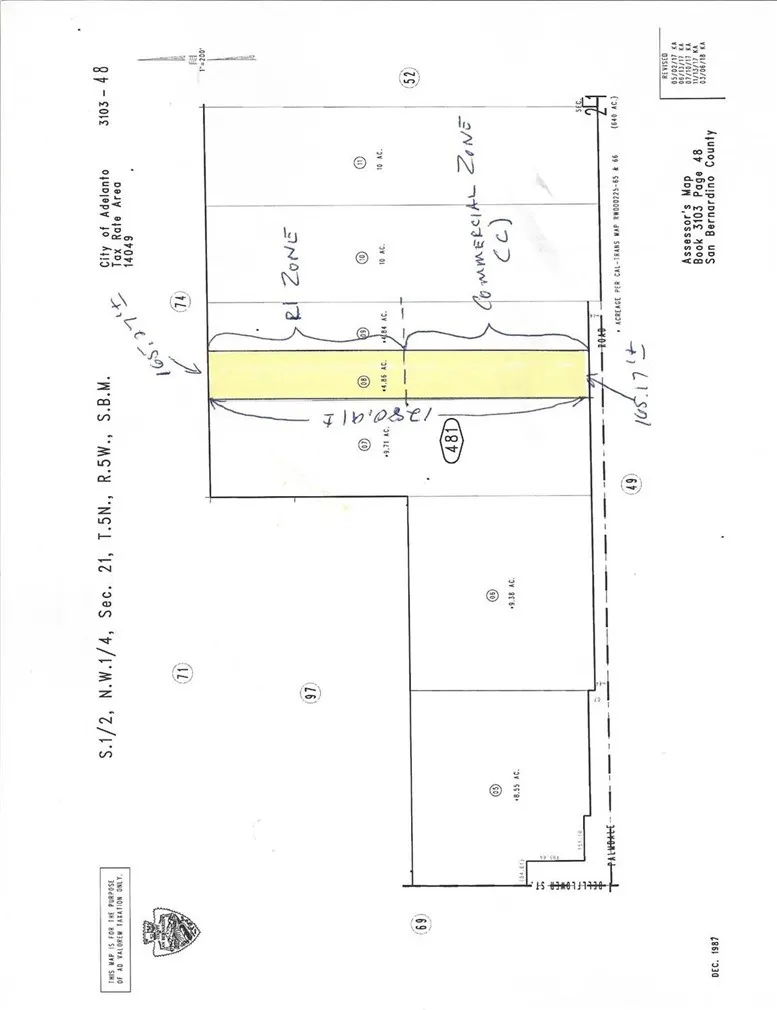
Split zone. R1 rear and Commercial (C) in front. Approx 165′ on Palmdale Road. Rear has frontage on Begonia Road. Level+- topography. Westerly property is approximately 1,600 feet east of Bellflower Street on north side of Palmdale Road. If going in from Begonia Road, westerly property line is approximately 350 feet from easterly line of Delicious Street. Very few Joshua trees on property. Ample room for development without disturbing Joshua trees. Seller will consider holding paper with 50% down.

ray@millmanteam.com
ray@millmanteam.com