
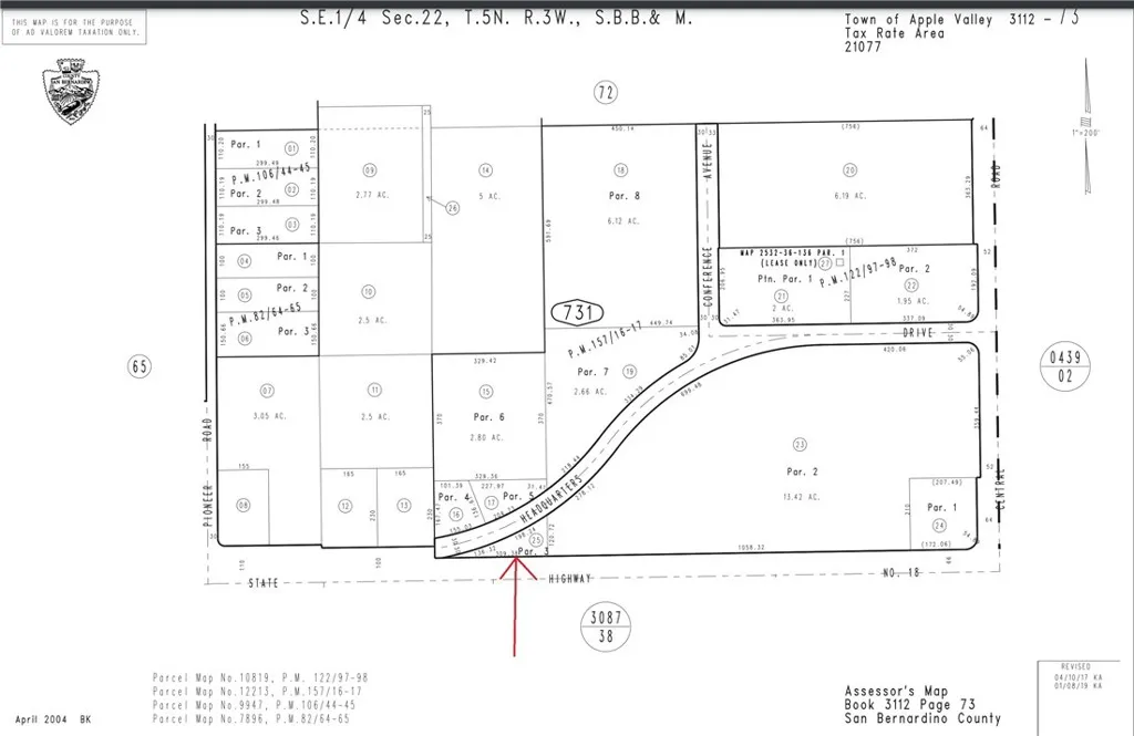
Prime location, Commercial zoned land at the corner Headquarter Dr. and Highway 18 with water, Power & Sewer line access. According to the City of Apple Valley, This land is permitted for commercial Retail or light industrial. ( Please check the attached supplement from the city of Apple valley for more details about the use of this land). Edison is serving the power for the city of Apple Valley. According to Edison Customer service Apple Valley office, the land has powerline access as well. This land is located near Mojave Water Agency, Casa Colina Rehab Center, Gas Service Station, Market and is located across Mobil Home Park. According to attached map provided by the the city of Apple Valley the Sewer line is on the east side of the property. Please check the supplements in the photo section. According to the Liberty Water Company Water line is available on Headquarter St. There are lots of developments across this land off of highway 18. Please contact Apple Valley Edison at 800-684-8123 and Liberty water co. at 760-247-6484 for more details about the utilities access. All of these information have been obtained via city of apple valley, water company and Edison are attached as supplement to the listing. Please check those out. Seller and the listing agent recommend the Buyer to verify and satisfy themselves of the finding from all of the those organization.

ray@millmanteam.com
ray@millmanteam.com