
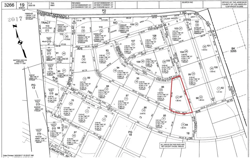
APN: 3266-019-021 Coordinates: 34.707750, -118.344667 2.49 Acres for Sale In Los Angeles County. This parcel is just off of 120th St W in Lancaster, CA. Large wide open area near to the Antelope Valley Poppy Reserve.

ray@millmanteam.com
ray@millmanteam.com