
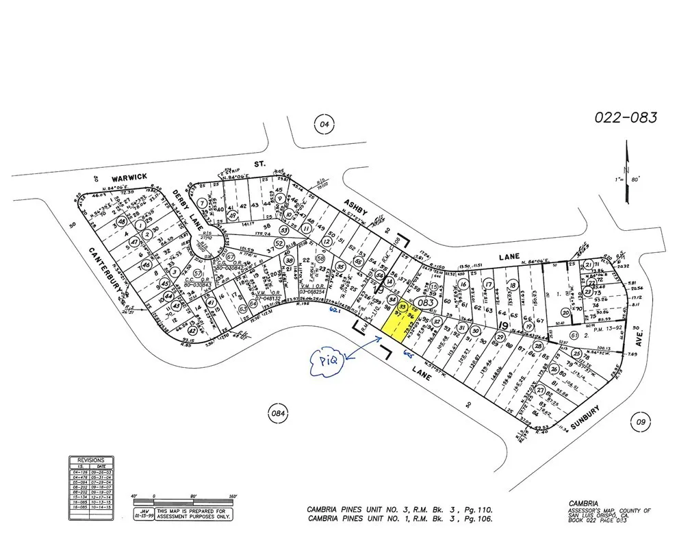
First time on market. High up on Happy Hill is Canterbury Lane with Ocean Views in a quiet sunny location. Included is an active CCSD water service (no sewer). The property is a vacant oversize double lot with owners paying bi monthly for water use just as if a home were here. Buyers should investigate the potential to build with this water service. One could buy these lots and transfer this service to their lots with potentially selling the retired lots to an adjoining property owner. Properties with active water service are rare and not often seen on market. This is an opportunity to build a home in the near future. Check CCSD and county websites (cambriacsd.org & slocounty.ca.gov) for current info on building with a CCSD active water service. Offered for $299,000.

ray@millmanteam.com
ray@millmanteam.com