
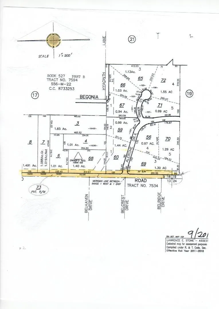
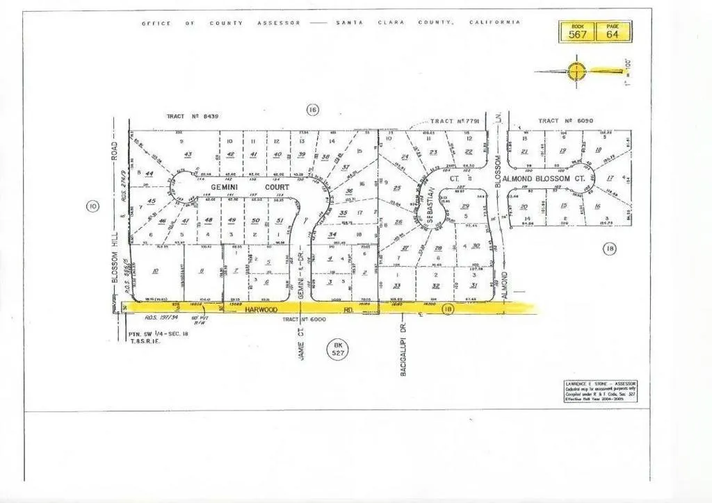
This is a unique opportunity to own a piece of Los Gatos history. This property consists of three parcels (APNs 567-64-009, 567-18-073 and 567-18-074) that are basically a 30 foot wide strip from Harwood Road to the properties on the East side of Harwood Road and extends from Blossom Hill Road up the hill to past Alerche Drive. Altogether this is nearly 2 acres. It is highly unlikely that building a home or putting any type of structure would be permitted but there is room to park vehicles or plant a vineyard or put the land to some other creative use.

ray@millmanteam.com
ray@millmanteam.com