
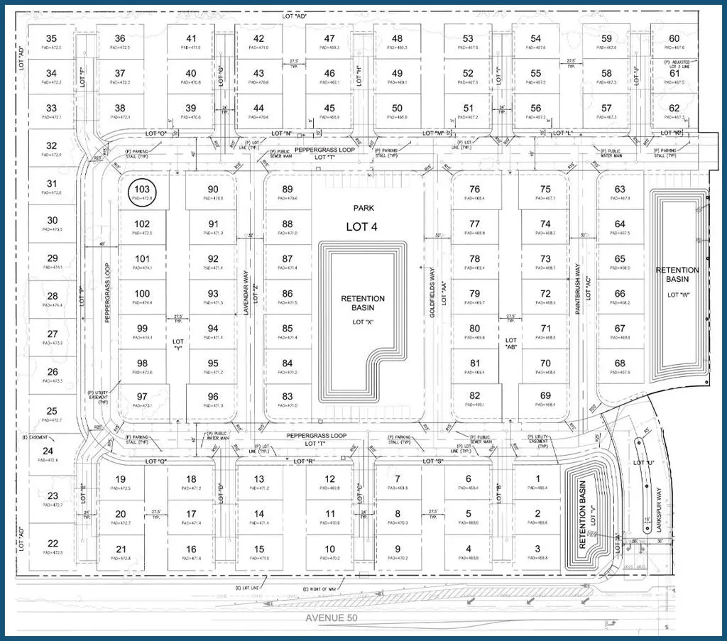
Approved Tentative Tract Mao for 103 Lots (TTM #36680). Key Location. Minutes away from many high-end residential developments, including the exclusive Madison Club, Griffin Ranch, & The Hideaway. Just one mile from El Dorado & Empire Polo fields, home of the famous Coachella Music Festival. Across from D.R. Horton’s new housing tract, La Colonia II. The City of Coachella is business friendly and welcoming to new developments.

ray@millmanteam.com
ray@millmanteam.com