
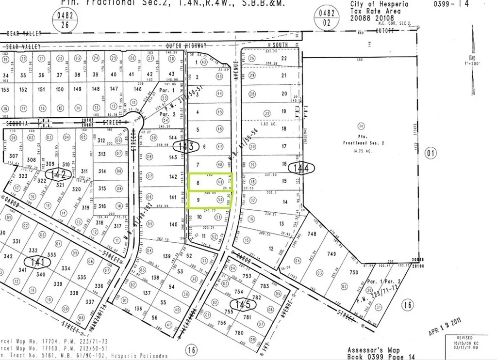
***Come VIEW and MAKE an OFFER TODAY! Incredible COMMERCIAL LAND opportunity in the ever expanding city of Hesperia CA. TWO ADJACENT PARCELS for sale as a package totaling 1.136 ACRES (SEE APNs 0399-143-49 & 50). Located on Jacaranda Ave the parcels are less than one block from one of the busiest intersections in the High Desert on Bear Valley Rd. Very close to existing commercial development and within walking distance to Victor Valley Community College the site sees a ton of traffic everyday. Not to mention utilities are running adjacent to the site making this a must see opportunity before it’s too late.***

ray@millmanteam.com
ray@millmanteam.com