
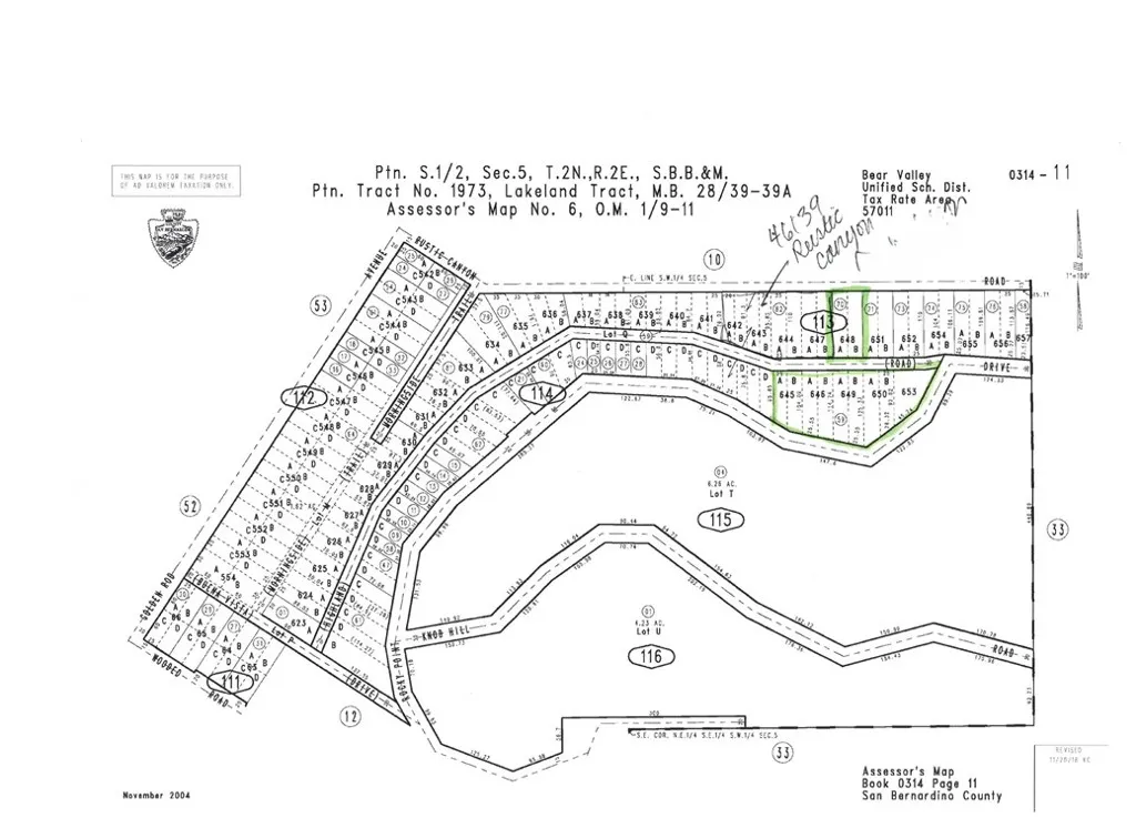
Buildable land, 2 separate properties being sold together for a total of $31,709 sq. ft.. 0 Rocky Point Dr. APN 0314-114-59 is 26,209 sq. ft. and 0 Rustic Canyon APN 0314-113-70 backs to the property on Rocky Point. Nice quiet area close to jeep and horse trails, God’s Eye and PCT. Other established homes on this street. Short drive to the Village, Lake and Slopes and easy access on and off the mountain..

ray@millmanteam.com
ray@millmanteam.com