
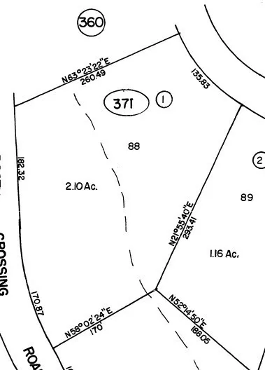
Just over 2 acre parcel in the Lake Pillsbury Ranch. Lake Pillsbury Ranch is a private gated community located within the Mendocino National Forest, near Lake Pillsbury. The largest lake on the Forest has 2,280 acres of surface area and 31 miles of shoreline. Come build your dream house and escape to one of the most peaceful areas around. Make your own private hunting cabin or just escape the city in a peaceful, beautiful area just north of San Francisco. Call to make an appt to visit the area and see all it has to offer.

ray@millmanteam.com
ray@millmanteam.com