
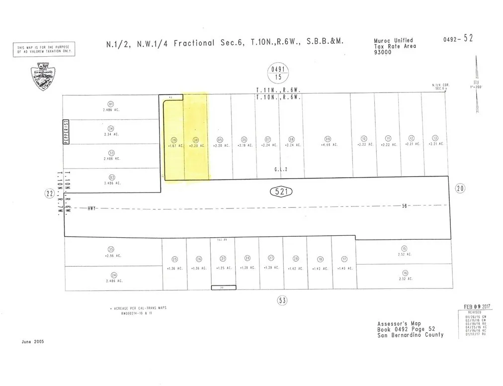
2.2 acres (164’X595′) located on Salton Road at North west of the intersection of 395 Highway and 58 Highway in Kramer Junction close to all the stores on 395 and Old Highway 58. Located along the north side of Highway 58. Easy commute into neighboring cities including Boron, Barstow and Adelanto. Close to Edwards Air Force Base. Property next door (APN: 0492-521-29) can also be purchased together with the subject property. Seller may consider just selling 1 lot only. There is not an address associated with these parcels. Located in the Kramer Junction area which is Unincorporated San Bernardino County. Plaese use the following GPS coordinates to locate the property: 34.998009 -117.558801

ray@millmanteam.com
ray@millmanteam.com