
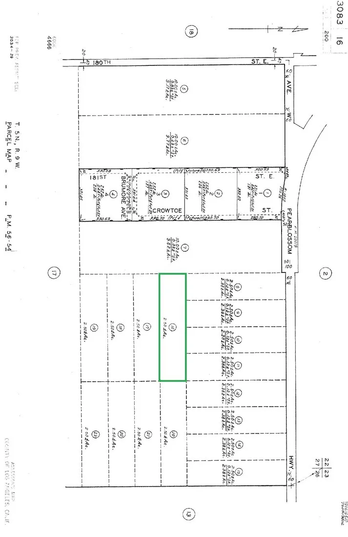
Enjoy the best of both worlds with this 2.5-acre parcel in Palmdale—peaceful countryside living just 20 minutes from the city. Located off Pearblossom Highway as the second lot in, the property offers privacy, open space, and convenience. Perfect for building your dream retreat, recreational use, or holding as an investment. Buyer to verify all details.

ray@millmanteam.com
ray@millmanteam.com