
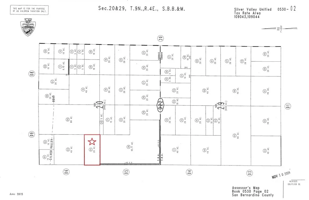
20 Acre land south of Silver Valley Rd. views of the mountains and the desert. zoning is RL, residential, some neighbors in the area. community of Newberry Springs locate to the east of Barstow and Yermo! close to Freeway 40 and 15.
APN# 0530-022-04-0000; GPS:34.859766, -116.591754;

ray@millmanteam.com
ray@millmanteam.com