
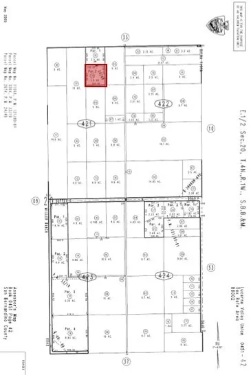
2.5 Acres (APN: 0451-421-19) GPS: 34.427590, -117.004642 This 2.5 acres is located in Lucerne Valley, CA within the San Bernardino County. Lucerne Valley is located in the High Desert to the east of Apple Valley, Hesperia and Victorville. This property lies within the unincorporated area of the San Bernardino County within the Lucerne Valley ‘Rural Living’ (LV-RL) zoning. This Rural Living zone can be subdivided into 2.5 acre parcels. Rural Living allows for Single Family homes, Manufactured homes, accessory crop production, produce stand and agritourism enterprises, animal keeping, livestock operations, school, place of worship, park or playground, Bed & Breakfast and small residential care facilities. Overhead electricity is approximately 1,286 ft SE (along Laramie Rd). Residents in the area have private water wells, septic tanks and propane tanks for their utility needs. The northern adjacent parcel is available for sale. Lucerne Valley, located in Southern California’s High Desert region, is a picturesque and tranquil community nestled amidst the vast expanse of the Mojave Desert. This charming town is renowned for its stunning natural beauty, with the towering San Gabriel Mountains to the south and the expansive Mojave National Preserve to the north. Lucerne Valley is a haven for outdoor enthusiasts, offering opportunities for hiking, off-roading, and camping, making it a popular destination for those seeking adventure in the rugged desert landscape. With its unique blend of natural splendor and rural charm, Lucerne Valley provides a serene escape from the hustle and bustle of city life.

ray@millmanteam.com
ray@millmanteam.com