
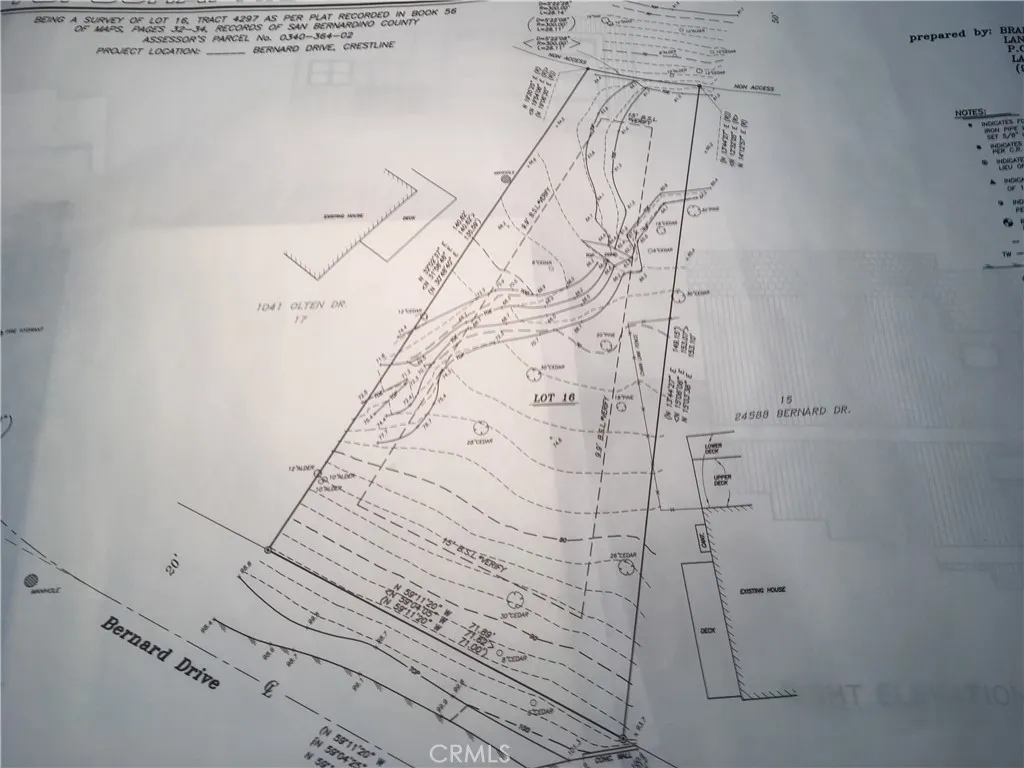
Nestled amidst towering cedar trees of timeless beauty offers a serene escape from the hustle and bustle embrace the allure of mountain living on this exclusive downslope lot. Located conveniently close to town and the beautiful lake minutes away, this lot provides the perfect blend of privacy and accessibility. Bordered street to street this property comes fully equipped with all the essentials to begin building immediately. Included in the purchase are a current survey, detailed topo and professionally designed preliminary house plans. These tools are tailored to maximize the unique features of the landscape, simplifying the building process while enhancing the natural beauty of your future home. Don’t miss your chance to own this remarkable piece of property. Contact us today to find out more about how you can turn this beautiful lot into your new dream home.

ray@millmanteam.com
ray@millmanteam.com