
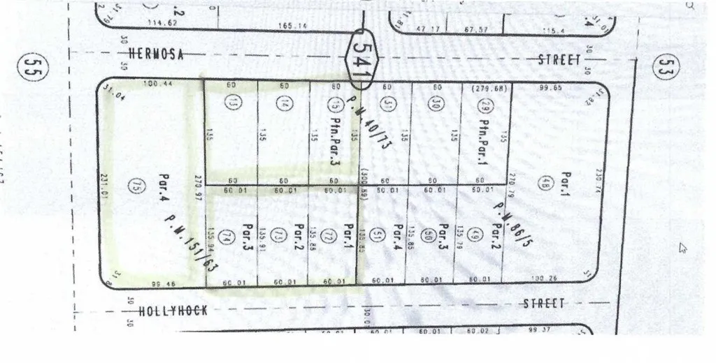
Build your own BLOCK! Investor and Developer Special. One of 6 amazing lots all in one block, to be sold all together in fast growing Adelanto. Near Hwy 395 and Air Expressway Rd. Multiple occupied Apartment complexes and homes nearby.. Close to public transportation. Seller open to having all lots sold together. 3 lots on Hermosa backed up to 3 lots on Hollyhock High potential for Income Investment opportunities. Fast growing area.

ray@millmanteam.com
ray@millmanteam.com