
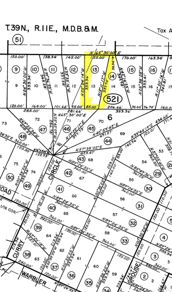
Welcome to your own slice of tranquility in the heart of Modoc County. This serene 0.92-acre recreational lot 13 is a perfect blend of rural charm and peaceful seclusion, offering a pristine retreat for nature lovers. Surrounded by the beauty of untouched landscapes, it’s an ideal setting for those seeking to escape the hustle and bustle of modern life. Though unserviced, the property is a blank canvas for your outdoor adventures—whether you’re an avid camper, wildlife enthusiast, or someone who enjoys quiet moments of reflection under the stars. Fishing enthusiasts will find themselves drawn to the nearby waters, while the scenic vistas provide breathtaking views of the natural terrain and its thriving wildlife. Despite its remote feel, the lot is conveniently close to a quaint, welcoming town, allowing you to experience the warmth of a tight-knit community while maintaining your privacy. You can enjoy local amenities, community events, and a taste of Modoc County’s relaxed culture—all within reach. Whether you’re looking for a weekend getaway or a back-to-nature lifestyle, this property offers the perfect opportunity to create your own personal escape in a truly beautiful setting.

ray@millmanteam.com
ray@millmanteam.com