
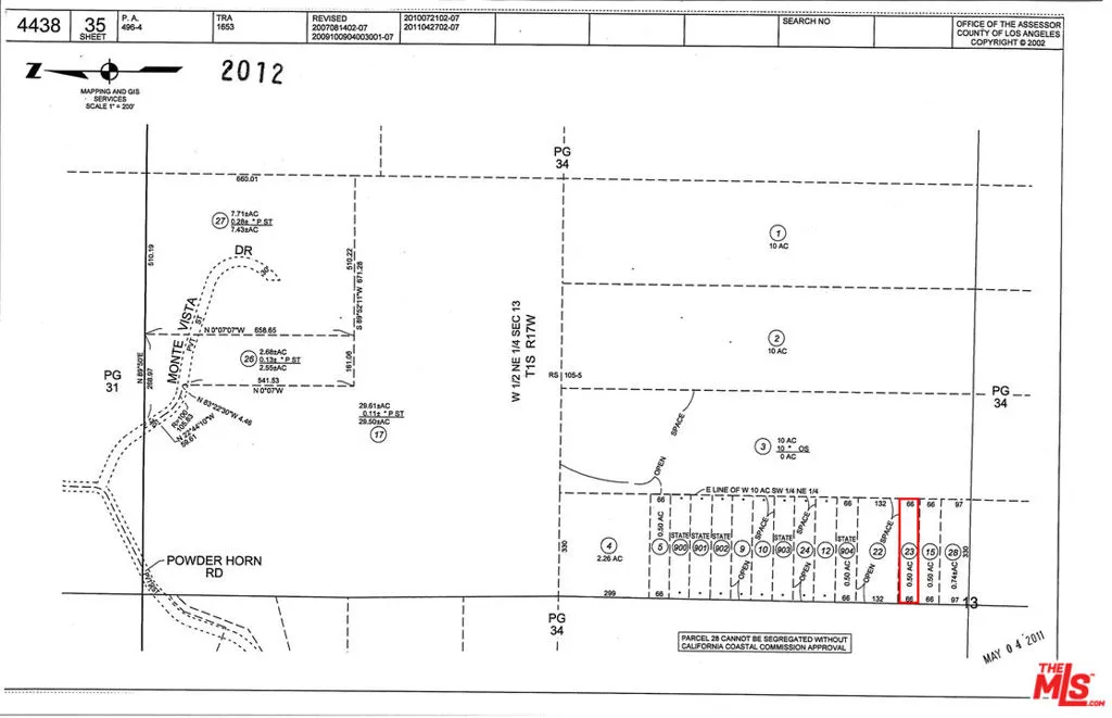
Good investment but no access to land, This Malibu land located in heart of Topanga North of Pacific Coast FWY 1 and South of FWY 101 the Topanga Canyon runs North and South needs road to access the land located in the very high quality view and air a lots of celebrities properties good future investment. Buyer must pay for escrow fees and closing cost and pays delinquent tax about $4000 on the property. More info such as water, power, map, location go to Los Angeles office planning at: 320 W. Temple St. Los Angeles CA 90012 phone 213-974-6411

ray@millmanteam.com
ray@millmanteam.com