
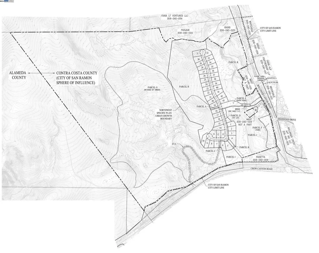
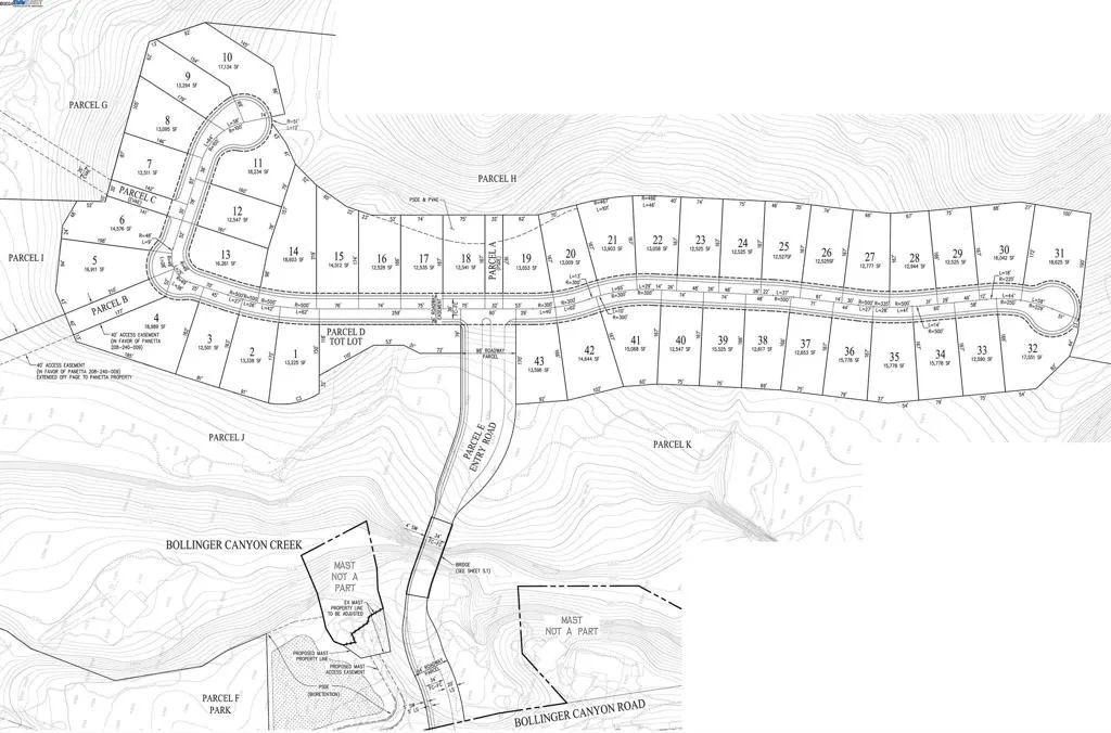
Rare ±195-acre development opportunity in the scenic hills of San Ramon. Located near the intersection of Bollinger Canyon and Crow Canyon, this property was previously entitled for 43 executive homes and 18 secondary dwelling units (SDUs). While the tentative map has expired, extensive entitlement work—including CEQA review and a full suite of technical studies—has already been completed. Reports include geotechnical, hydrology, hydraulic analysis, stormwater control, traffic impact, noise, water supply evaluation, biological and cultural resource studies, and more. Approximately 16 acres were designated for clustered residential development, with the remainder envisioned for parkland, infrastructure improvements, and permanent open space. The site offers a rare combination of privacy, views, and accessibility, just minutes from I-680, I-580, and downtown San Ramon. Located near top-rated schools, regional trails, and major employment centers, this property presents a compelling opportunity to reinitiate entitlements and build a legacy luxury community in one of the Bay Area’s most desirable markets.

ray@millmanteam.com
ray@millmanteam.com