
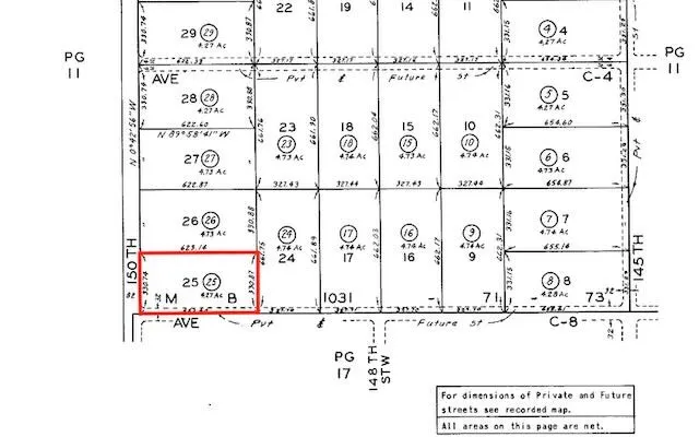
FIVE ACRE RESIDENTIAL HOMESITE IN THE PATH OF THE FUTURE DEVELOPMENT. You will get 330 feet of paved road frontage. Submit your offers now and start your due diligence before is gone. Just 2600 feet (half a mile) north of the 138 Hwy. Close proximity to the Antelope Acres community.
Contact the city of Lancaster for development information. Schedule your visit today or go on your own. Buyer and buyer’s agent to do their own due diligence.

ray@millmanteam.com
ray@millmanteam.com