
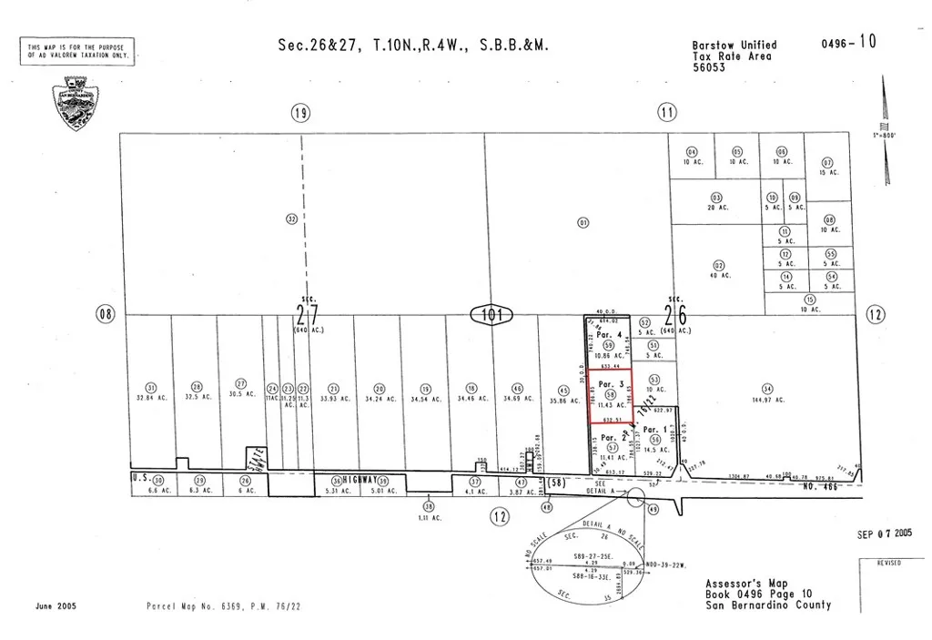
This 11.43-acre parcel on the Barstow-Bakersfield Highway in Hinkley offers ample space for investment or development in San Bernardino County’s expansive desert landscape. Accessed via a dirt road, this property is one of four adjacent parcels available for separate purchase, providing an opportunity to expand your holdings or develop a larger project. The neighboring parcel (APN 0496-101-57-0000) features direct highway access, adding potential connectivity and versatility. Buyers are encouraged to conduct due diligence regarding utilities and land use to fully capitalize on the property’s potential. Parcel No. 0496-101-58-0000, GPS: 34.92647, -117.27124.

ray@millmanteam.com
ray@millmanteam.com