
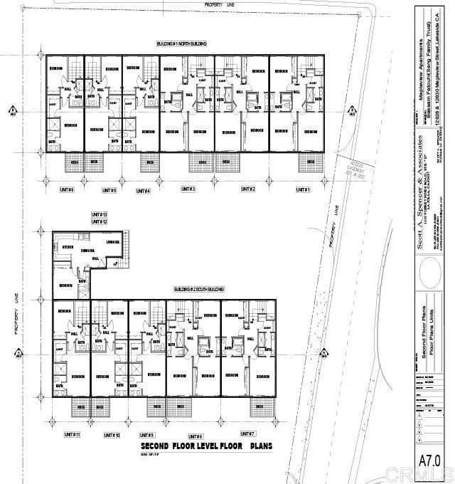
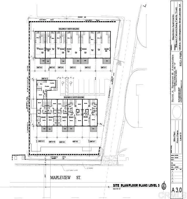
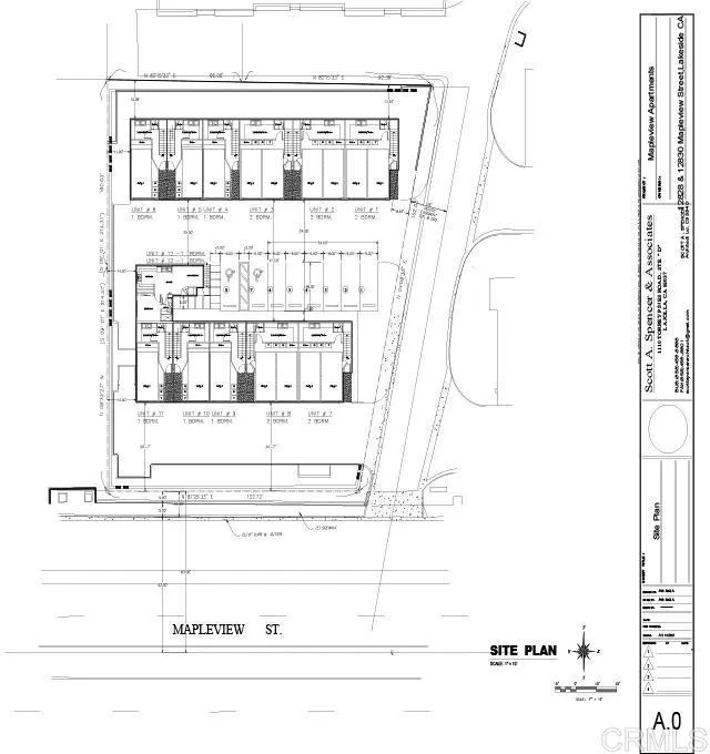
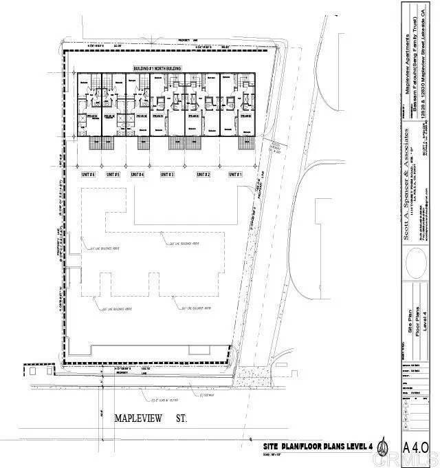
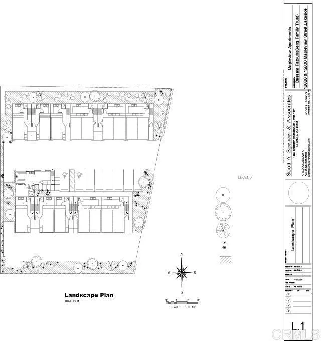
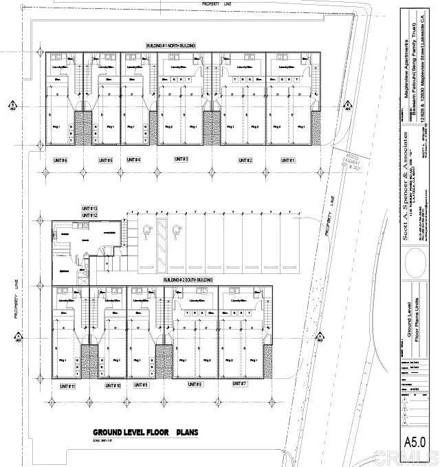
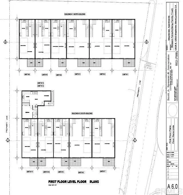
A great opportunity for the savvy investor-builder in the growing Lakeside community! Two homes on two lots totaling 22,184 sq. ft.; price for both is $ 1.3M. approved tenants plan to build 12 townhomes with 2-car garages. available for review. 12828 Mapleview is a spacious 3+1 single-story home offering 1,044 sq. ft. of comfortable living space. The living room features tile flooring, a textured ceiling, and a ceiling fan. The kitchen is well-appointed with warm wood cabinetry, a gas range, a double sink, tile flooring, and a handy built-in bar-height dining counter. The primary bedroom measures 160 sq. ft. and includes a ceiling fan and wall-mounted wardrobe storage, while the additional bedrooms offer good natural light. The shared bathroom features a tub-shower combination with tile surround, wood vanity, and wood-look flooring. The garage includes a wood-paneled ceiling, ceiling fan, and built-in shelving — great for extra storage. An upgraded sewer, large patio, and carport parking round out this solid, practical property. 12830 Mapleview is a charming 2+1 home with a fenced yard and carport parking, featuring brand new flooring, paint, and light fixtures throughout. — a turnkey income-generating hold while your development vision comes together.

ray@millmanteam.com
ray@millmanteam.com