
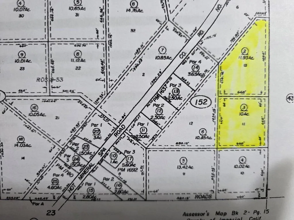
Niland, Ca. 21.93 acres More or Less off of Hot Mineral Spa Rd. Located on East side of Hot Mineral Spa Rd, South of Spa Rd. Zoned S-1-RE. APN 002-152-002-000 11.59 ac M/L gps Lat 33.368124 / Long -115.683277 and APN 002-152-003-000 9.83 ac M/L Lat 33.386081 Long -115.683442. Located East of Bombay Beach. Build your dream ranch or buy and hold for investment. Area known for Hot Mineral Spas / Waters and gorgeous winter weather.

ray@millmanteam.com
ray@millmanteam.com