
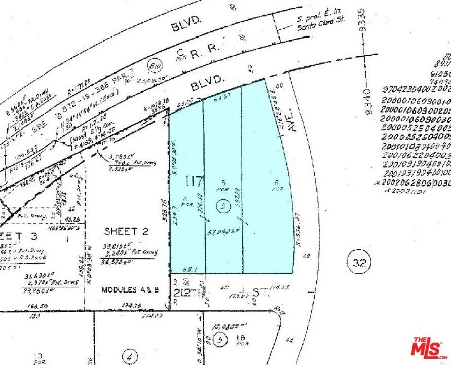
Trust Sale. NO Court Confirmation required. For sale AFTER 61 years! Great opportunity to own a 30-unit mobile home park in a prime location of central Torrance! Listed for below land value for the area. Excellent current income with great upside potential. Situated on an approx. 50,138 SF lot with M1 zoning, the property is located near the intersection of Torrance Boulevard and South Western Avenue. There are 5 mobile home renters and 25 mobile home owners. Three units (Units 21, 22, and 30) are occupied by family members of ex-manager of Ms. Dolores Stockton for free. Ownership of the subject three units has not been confirmed, as no documentation as to the ownership/leasing of the subject units have been found. Seller, and their agent(s)/representative(s) are not aware of, and disavows, any legal arrangement between the occupant(s) of the subject three units. Buyer is strongly advised to do their own due diligence and take any action it deems necessary. Bill back for utilities is being audited, as the owner’s expense seems to be higher than what it should be. Sold AS IS and WHERE IS with all faults, and without warranty, express or implied and with current tenants and pad owners in place. Trustee is an independent fiduciary not related to the family. Buyer to conduct their own investigations.

ray@millmanteam.com
ray@millmanteam.com