
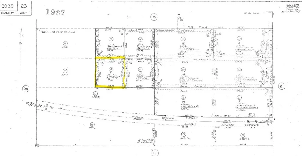
APN:3039-023-018, Coordinates 34.537813, -117.911314 2.5 Acres in Los Angeles County. This opportunity is located near Pearblossom, CA off of 122nd Street and E Ave T. Within minutes to shopping, restaurants, wineries, hiking trails and more.

ray@millmanteam.com
ray@millmanteam.com