
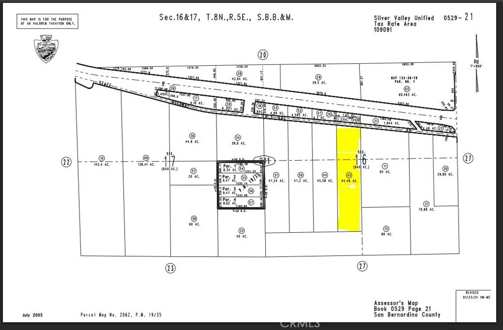
large parcel close to Interstate 40 and the Hector Rd. offramp. 666 feet frontage just south of Paved Hwy 66. A small strip of land is in between the north side of the lot and the Hwy 66 that appears to be part of the roadway easement.
GPS Coordinates: 34.787515,-116.462526

ray@millmanteam.com
ray@millmanteam.com