
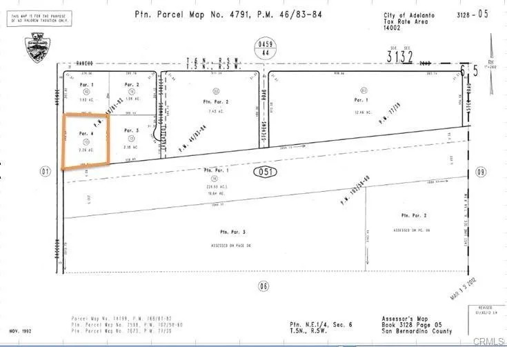
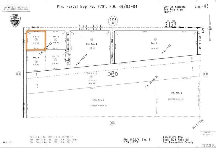
Adelanto Commercial – Approved CUP for Marijuana Cultivation
Two adjacent parcels (4.22 acres total) with an approved Conditional Use Permit (CUP) for cannabis cultivation and manufacturing. Zoned Marijuana Cultivation–Manufacturing/Industrial, the property allows for warehouse distribution, building materials, lumber yards, assembly, manufacturing, and more. Located on the main road with utilities nearby, offering huge savings on road development and easy access to freeways 395, 18, and 15. Just minutes from the Southern California Logistics Airport, an 8,500-acre multimodal transportation hub with world-class aviation and FedEx air-cargo facilities. A rare opportunity for businesses seeking a cannabis-friendly industrial property with exceptional growth potential.

ray@millmanteam.com
ray@millmanteam.com