
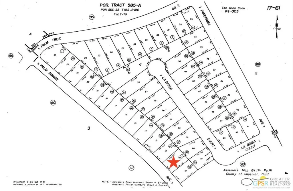
Make out of this lot a dream. You can design and build your own home and call this your own paradise. On a serene neighborhood and slowly growing neighborhood. Enjoy the starts at night without too much of the huge city lights that other cities provides. This can be your primary or vacation get away.

ray@millmanteam.com
ray@millmanteam.com