
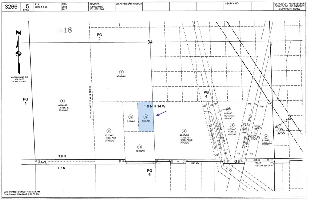
Five-acres in the wide-open-spaces of the Antelope Valley’s west side between Antelope Acres and Fairmont. This beautiful off-grid parcel has great potential as a future ranch or home site, featuring recorded access easements north to the parcel from Avenue G and a completed Certificate of Compliance that will save on both development costs and time. Level and scenic with desirable A-2, Heavy Agriculture zoning and plenty of room to spread out with your animals and toys. A great buy! *Buyer to make their own independent investigations regarding Zoning and General Plan Designations, Environmental and Hazard Zones, Access and Development costs, Availability and Costs of Utilities.

ray@millmanteam.com
ray@millmanteam.com