
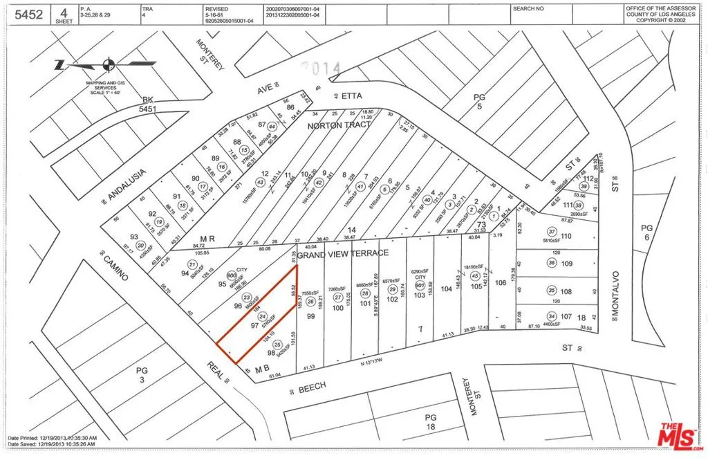
APN: 5452-004-024. Great opportunity to own a lot and build your dream home in the lovely neighborhood of Mount Washington with city views! Vacant raw land appx 5,755 sf, zoned LARE20- just minutes away from Downtown LA. Keep in mind this is a paper street lot meaning there’s currently no street access and buyer would be responsible to pave the road from the nearest paved road to the lot in order to build. Please check with city of Los Angeles Building and Safety for specific questions and details. No reports or surveys available. All utilities should be nearby. Buyer to verify all information and rely on their own investigations.

ray@millmanteam.com
ray@millmanteam.com