
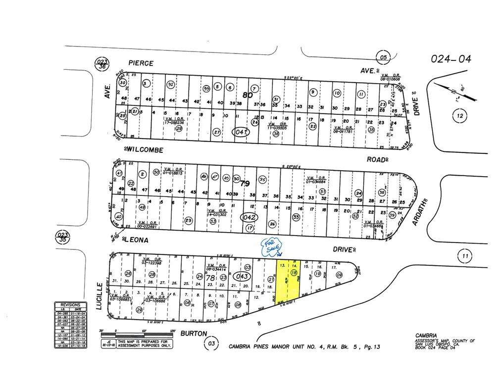
Leona Dr sloping down to Ardath Drive, a street to street oversize double lot +-4250sf. #146 on County Allocation list. Forest views, low traffic paved road. Easy access to Hwy One or head West to the Beach. Offered for $15,000.

ray@millmanteam.com
ray@millmanteam.com