
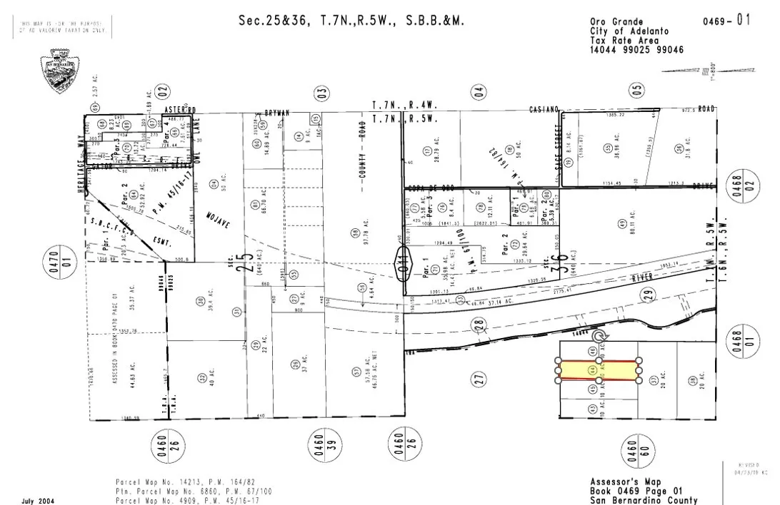
±10 acres of unimproved residential land for sale on Morning Glory Rd in Adelanto; APN: 0469-011-45. Zoned Desert Living (DL-9) this lot will allow for a variety of secondary uses in conjunction with a primary residential use, including equestrian facilities, agricultural uses, and the raising of small animals, commercial kennels, stables, and others varied commercial activities subject to a conditional use permit. This site is immediately north of the Southern California Logistics Airport, which is home to such companies as Amazon, Boeing, General Electric, Goodyear Tire, Dr. Pepper/Keurig, Newell Rubbermaid, M&M/Mars, and more. Millions of square feet of industrial product are entitled in this area of Adelanto, bringing a massive amount of infrastructure to the surrounding parcels. This site is also approximately 25 miles from BNSF’s future Barstow International Gateway (BIG), a state-of-the-art intermodal facility spanning 4,500-acres designed to revolutionize international logistics and distribution regionally and domestically. Buyer to verify all information contained herein. Agent and their representatives are not responsible for the accuracy of these claims.

ray@millmanteam.com
ray@millmanteam.com