
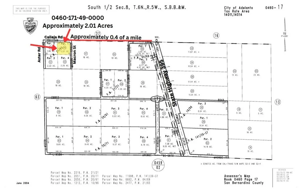
This +/- 2.0 acre parcel is zoned Desert Living (DL2.5) and is approximately less than a half mile just off Hwy 395 within the Adelanto city limits, with solar farms in the area and a trucking company storage lot just two parcels away. It may take some rezoning work with the city, but if you’re looking to store trailers, build a solar farm, build a future home or save it as an investment for the future of Adelanto, either way, this could be the parcel for you. Adelanto is growing by leaps and bounds with multiple housing projects, the legal cannabis industry taking off generating approximately $4.5 million in revenue, and contributing to the city’s economic sustainability and growth. And commercial projects with the latest project being built by Lewis Retail Centers on the corner of Mojave Dr & Hwy 395. Hwy 395 is busier than ever, and this is a great area to invest in for the future. All Information is Deemed Reliable, But Not Guaranteed, Buyer and their agent to confirm any and all info including use of the property and any planned projects that you may want to do with it.

ray@millmanteam.com
ray@millmanteam.com