
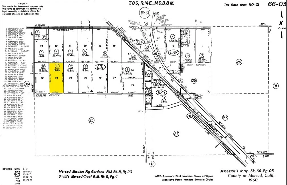
Location, Location! This 19.8-acre parcel with a beautiful 3,190SF ranch home is part of a 161+/- acre family ranch in the path of development which could be purchased together. Strategically located w/in close proximity to Hwy 99 and the newly developed Campus Expressway overpass, a direct route to UC Merced. The property is also located within the “Merced Vision 2030” SUDP Boundary, making it well positioned for future growth demand. Future possibilities could include commercial, industrial or residential development for this underserved market area. Also, in close proximity is the Gateway Marketplace, the newest regional commercial development project currently underway. The Gateway Marketplace includes major retailers such as Tractor Supply, Starbucks, McDonald’s, Arco, Chevron and a Hilton Hotel/Convention Center. The city of Merced just broke ground on a 40-acre sports complex just down Mission Ave, dubbed Community Park 42, a REGIONAL sports complex, allowing for large scale tournaments, concerts, and events. Land running along Mission Ave is quickly becoming the object of attention as residential communities and city infrastructure is being brought further south to accommodate the city’s massive growth and grossly underserved commercial/industrial/residential needs. This parcel is also adjacent to Yosemite Wholesale, a 220,000SF distribution warehouse. As the city of Merced determines its need for commercial, industrial and residential land necessary to accommodate its quickly growing population and a growing UC Merced, this could be the best timing to acquire development land.

ray@millmanteam.com
ray@millmanteam.com