
22300 Rickenbacker Ct by Lindbergh Blvd, California City, CA 93505
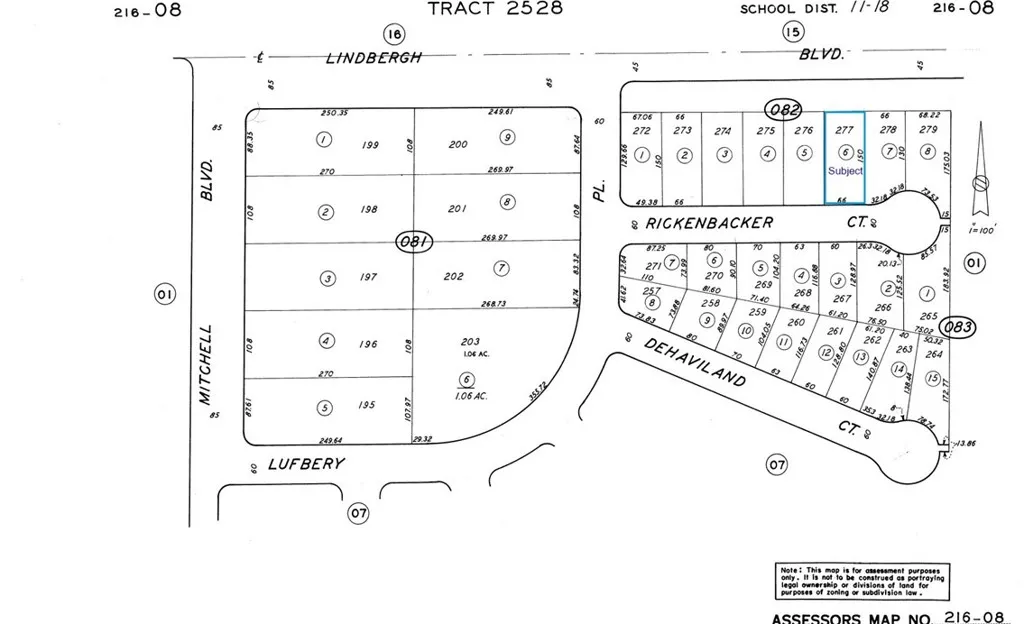
APN: 216-082-06
For sale is a an almost 10,000 sq feet (.224 of an acre) vacant lot in the C2 Community Commercial District/airport area of California City. According to the California City GIS Map this property is zoned as C2 or in the Community Commercial District. This zoning allows many retail and other commercial uses. This property is in the path of commercial development.
GPS Coordinates: 35.146819, -118.009032

ray@millmanteam.com
ray@millmanteam.com