
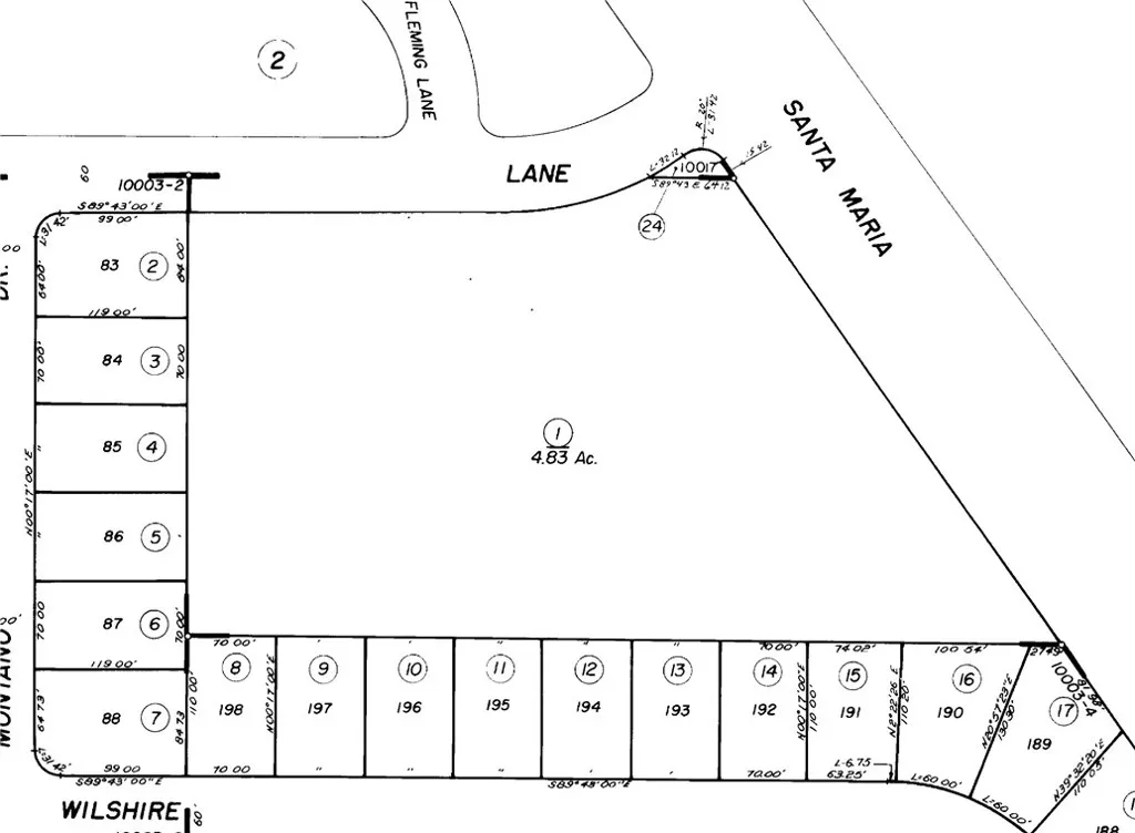
This is a prime lot zoned 8-R-1 and consists of 4.83 acres. Located on the corner of E. Waller Lane and Santa Maria Way, offering great access to Hwy 135 and Hwy 101. The 8-R-1 zoning allows one unit per 8,000 sq ft lot — but, there may be an opportunity for ADUs and other much needed housing. Please be sure to contact Planning and Development for clear and precise allowable uses. Please park curbside and walk to lot. Please do not drive on property.

ray@millmanteam.com
ray@millmanteam.com