
This lot is at the continuation of Holt St, Mojave, CA 93501
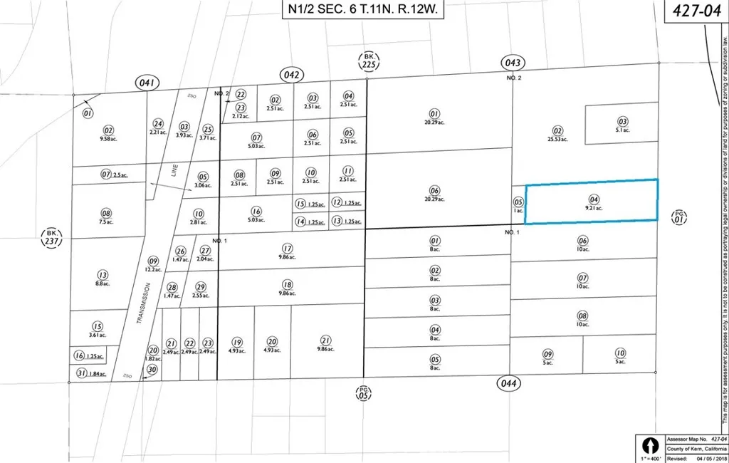
APN: 427-043-04
For sale is a 9.21+- acre agricultural lot in Mojave, CA just west of the Mojave Air & Space Port. This zoning allows a single family residence and agricultural uses.
Directions: Start at 2890 Arroyo Avenue, Mojave, CA 93501 and go to the corner of Arroyo Ave and Holt St. Go north on the continuation of Holt St for .75 of a mile and you will be at the front. Please use the GPS coordinates from here.
GPS Coordinates
NE: 35.080697, -118.185882
SE: 35.079729, -118.185890
NW: 35.080563, -118.189843
SW: 35.079612, -118.189862

ray@millmanteam.com
ray@millmanteam.com