
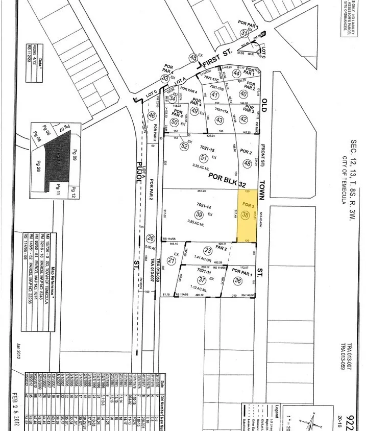
The subject property is located in the city of Temecula and consists of a total of 0.87 acres. The property is flat in topography and is located on Old Town Front St with approximately 317 feet of frontage with traffic counts of 9,276 cars per day. The property has a length on the eastern and western side of 317 feet with a depth 120 feet. In regards to utilities there are power lines running across the eastern side of the property, with water and sewer both located on Old Town Front St. The property lies just ½ mile from I-15 at Temecula Pkwy, just over one mile from I-15 at Rancho California Rd, and approximately ½ mile from Old Town Temecula. The property is zoned SC – Service Commercial. This zoning designation allows for a wide range of commercial uses. According to the City of Temecula’s Municipal Code: The service commercial designation is intended to provide for intensive commercial uses and selected light manufacturing uses that typically require extensive floor area. Typical uses include home improvement stores, discount retail stores, furniture stores, auto dealerships and auto service and repair. Warehousing and light manufacturing may be permitted as supporting uses for a business that is consistent with the service commercial designation. In addition, the Service Commercial zoning
would also allow for uses such as a car wash, supply yard, and RV and Boat storage with a CUP.

ray@millmanteam.com
ray@millmanteam.com