
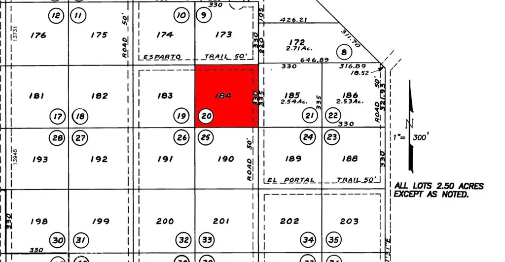
You can BUILD 2 HOMES WESTSIDE 2.5 acres CORNER LOT —ONE HOME ONE EACH STREET. Nearby neighbor said the water was GREAT. There is very DARK soil to Grow Gardens. Nearby Power Apx 400 feet away. VERY Easy access from paved Soda Lake Road. Hunting in Nearby BLM Hills, off road driving or motorcycles. Bring your horses, cows, goats and chickens. Great for a vacation getaway or build your dream home. Manufactured homes okay. Address Number is Estimated and NOT the exact address. Contact agent for precise maps. L/L, 35.298246, 119.980974 – APN: 082-151-020

ray@millmanteam.com
ray@millmanteam.com