
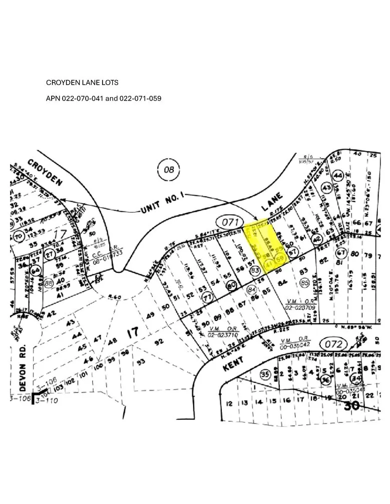
Positioned along a peaceful stretch of Happy Hill, these two adjacent parcels offer stunning ocean views across the pines and rooftops of Cambria. While currently without a water position and not buildable at this time, the land presents a rare chance to secure your spot in one of Cambria’s most desirable neighborhoods. Use it as a long-term hold, a way to protect existing views, or simply to enjoy a tangible piece of the Central Coast’s natural beauty. Sloped with a mix of native vegetation, these lots offer tranquility, sun exposure, and future potential.

ray@millmanteam.com
ray@millmanteam.com