
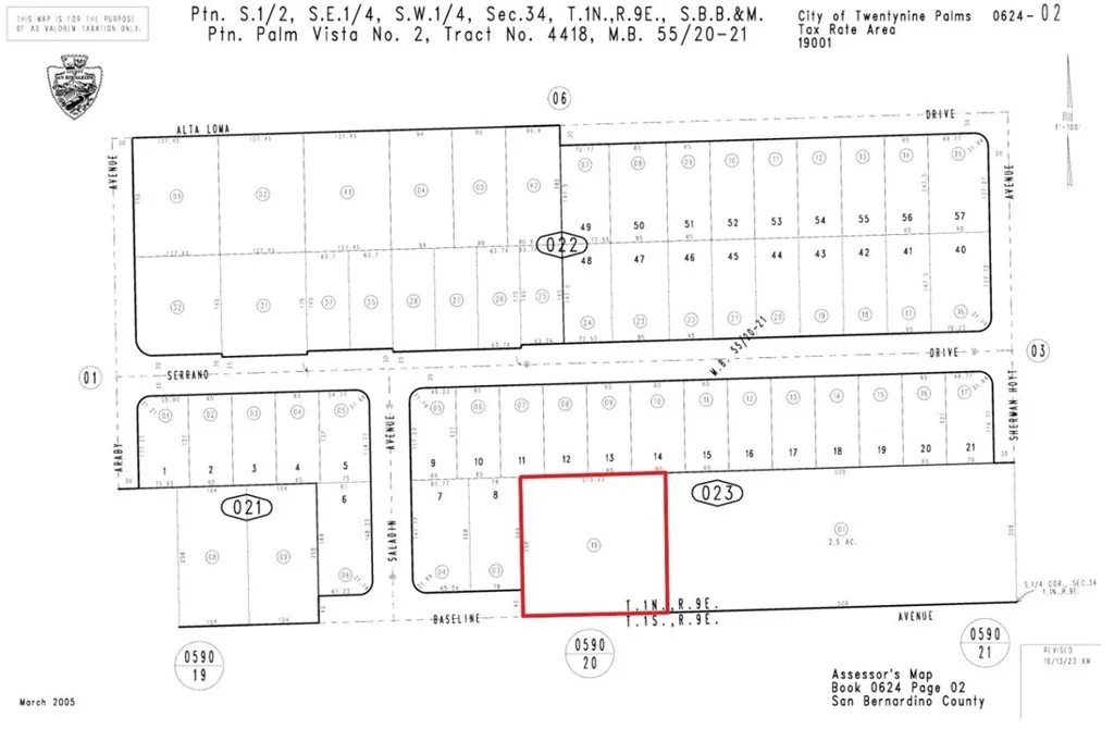
APN: 0624-023-19-0000 Coordinates: 34.121694, -116.030139 1.03 Acres for sale in 29 Palms, CA. This parcel is located near the intersection of Baseline Rd and Saladin Ave in 29 Palms, CA. There are many amenities nearby, excellent location to build a home.

ray@millmanteam.com
ray@millmanteam.com